World

Bahamas battered by 'monster' hurricane Dorian

PTI

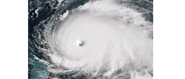
Miami: Dorian, a Category 5 hurricane and the most powerful storm to hit the Caribbean islands of the Bahamas since records began, has torn roofs from buildings and caused severe flooding, bringing with it winds of up to 285 kmh.

Dorian is battering the Abacos and Grand Bahama Islands, both in the north of the archipelago, after making landfall on Sunday night in Elbow Cay. The storm is the strongest anywhere on the planet this year, according to the US' National Hurricane Centre (NHS).

Areas of the Abaco islands were reported to be underwater after the storm hit the islands.

"Life-threatening" storm surges were expected to raise water levels as high as 18 to 23 feet above normal, producing "large and destructive" waves along the coast of both the islands, the NHS said in its latest advisory.

Dorian is forecast to lash the region overnight and through much of Monday. It was expected to reach Florida's east coast late Monday into Tuesday night.

Florida, Georgia, North and South Carolina have all declared states of emergency, the BBC reported. Evacuation orders have been given in coastal areas of Florida and South Carolina.

Bahamas residents posted footage showing floodwaters engulfing some homes after high winds had torn their roofs off. 

Videos also showed capsized boats floating in floodwaters filled with debris.

Authorities closed some airports in the outlying islands, but the main international airport remained open on Sunday.

Ahead of the landfall, Bahamas Prime Minister Hubert Minnis announced an evacuation order for parts of Grand Bahama and the Abaco Islands. All tourists were asked to leave the islands.

"This is probably the saddest and worst day of my life," he told the media earlier Sunday, calling Dorian a "monster storm".

"We're facing a hurricane... One that we've never seen in the history of the Bahamas." 

US President Donald Trump himself has cancelled a planned trip to Poland and met emergency management officials, reports the BBC.

He told reporters on Sunday that the storm "looks monstrous" and the US east coast "will be ultimately impacted and some of it very, very severely".

Trump has also issued a federal state of emergency for Florida, and the state's Governor, Ron DeSantis, has activated 2,000 National Guard troops, with another 2,000 on standby.
 

Help Us Create the Content You Love

Take Survey Now!

Enjoyed reading The Bridge Chronicle?
Your support motivates us to do better. Follow us on Facebook, Instagram, Twitter and Whatsapp to stay updated with the latest stories.
You can also read on the go with our Android and iOS mobile app.

Sooryavanshi’s disruption vs Gill’s control: Rajasthan Royals’ teen prodigy tests Gujarat Titans’ old-School T20 blueprint

DC and MI look to sustain early momentum in what could be another high scoring thriller

Pune: Police Recruitment Candidate Falls Ill After Consuming Stimulants During Trial in Daund

Shreyas Iyer and Priyansh Arya power PBKS to fourth consecutive Chepauk victory against CSK

Pune: Delay in Electoral Roll Revision Work; Teacher and Clerk Booked

SCROLL FOR NEXT